- トップ
- 15号地 Cradlegarden成田市中台第5 建築条件無し売地全16区画





~アクセス~
JR成田線「成田」駅 徒歩約20分
~おすすめポイント~
・建築条件なし!お好みのハウスメーカー、こだわりのプランで建築可能♪
・教育施設、コンビニまで徒歩圏内!子育て世代にもおすすめ♪
・土地面積約150.1m2超!多彩なプランが可能な広さ♪
住宅ローンや資金計画についても、弊社スタッフが丁寧にご案内いたします!
まずはお気軽にご連絡ください☆彡
~周辺環境~
成田市立向台小学校 徒歩約3分
成田市立中台中学校 徒歩約6分
業務スーパー成田店 徒歩約16分
セブンイレブン成田加良部店 徒歩約9分
成田市立中台保育園 徒歩約7分
イオンそよら成田ニュータウン 徒歩約19分
JR成田線「成田」駅 徒歩約20分
~おすすめポイント~
・建築条件なし!お好みのハウスメーカー、こだわりのプランで建築可能♪
・教育施設、コンビニまで徒歩圏内!子育て世代にもおすすめ♪
・土地面積約150.1m2超!多彩なプランが可能な広さ♪
住宅ローンや資金計画についても、弊社スタッフが丁寧にご案内いたします!
まずはお気軽にご連絡ください☆彡
~周辺環境~
成田市立向台小学校 徒歩約3分
成田市立中台中学校 徒歩約6分
業務スーパー成田店 徒歩約16分
セブンイレブン成田加良部店 徒歩約9分
成田市立中台保育園 徒歩約7分
イオンそよら成田ニュータウン 徒歩約19分
担当スタッフより

- 岩井 健
- 「成田市中台」に建築条件なし売地全16区画の登場です!建築条件なしなので、お好みのハウスメーカー、こだわりのプランで建築可能♪まずは資料だけ…という方もお気軽にお問い合わせください☆彡
各棟情報
物件詳細情報
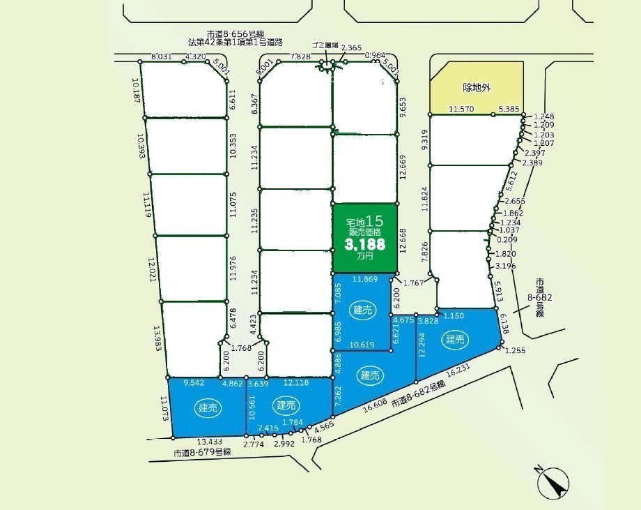
物件No.20000440699-013
| 所在地 | 千葉県成田市中台6丁目 | ||
|---|---|---|---|
| 交通 | 成田線「成田」駅徒歩20分 京成本線「京成成田」駅徒歩23分 成田スカイアクセス「成田湯川」駅徒歩33分 |
||
| 土地面積 | 150.35m² 実測 | ||
| 販売区画数 | 17区画 | 総区画数 | 全17区画 |
| 開発面積 | 3910.03m² | 用途地域 | 第一種中高層住居専用地域 |
| 建ぺい率 | 60% | 容積率 | 200% |
| 都市計画 | 市街化区域 | 国土法届出 | 不要 |
| 建築条件 | 建築条件なし | 地目 | 宅地 |
| 現況 | 更地 | 引渡時期 | 相談 |
| 引渡条件 | 更地渡し | 権利種類 | 所有権 |
| 接道 | 南東側6M道路に接道 | 小学校区 | 成田市立向台小学校(170m) |
| 中学校区 | 成田市立中台中学校(426m) | 取引態様 | 専任媒介 |
| 設備 | 公営水道、本下水 | ||
こだわり項目
緑豊かな住宅地閑静な住宅地地盤調査済小学校800m以内保育園・幼稚園800m以内公園800m以内フラット35Sに対応
- ※価格は物件の代金総額を表示しており、消費税が課税される場合は税込み価格です。(1,000円未満は切り上げ。)
税率は引き渡し時期により異なりますので、各物件の詳細につきましてはお問い合わせください。 - ※敷地権利が借地権のものは価格に権利金を含みます。
- ※制作中に内容が変更される場合もありますので、あらかじめご了承ください。
- ※購入の前には物件内容や契約条件についてご自身で十分な確認をしていただくようにお願いいたします。
- ※完成予想図はいずれも外構、植栽、外観等実際のものとは多少異なることがあります。
- ※CG合成の画像の場合、実際とは多少異なる場合があります。
周辺地図
- 現地販売会
- 毎週土日祝開催 10:00〜17:00 事前に必ずお問い合わせください※案内員が常駐しておりませんので事前にお問い合わせください
周辺施設一覧
- ショッピングセンター
- スーパー
- コンビニ
- ドラッグストア
- ホームセンター
- 飲食店
- その他店舗
- 商店街
- 大学
- 専門学校
- 高校・高専
- 中学校
- 小学校
- 保育園
- 幼稚園
- 公民館・児童館
- 病院
- 郵便局
- 役所
- 図書館
- 金融機関
- 警察・消防
- 趣味・娯楽施設
- 公園・運動施設
- 周辺の街並み
- 駅
- その他
お問い合せ先
- 株式会社ネクストリンク
- お電話でのお問い合わせは
043-312-3114「ホームページを見た」とお問い合わせください - 千葉県千葉市中央区都町1-37-12
- 営業時間:9:30~18:30
- 定休日:毎週水曜日
- 免許番号:千葉県知事(1)第18703号
- トップ
- 15号地 Cradlegarden成田市中台第5 建築条件無し売地全16区画




